Вулицю Міхнюка перекрито на три місяці: міняють труби під руслом Стрижня
У Чернігові розпочинають заміну зношеного трубопроводу діаметром 800 мм під руслом річки Стрижень у районі навпроти школи №2.
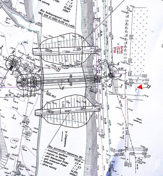
Це самопливний колектор, по якому проходять стоки ледь не з третини міста. Нині він у неналежному стані: проіржавів, є небезпека проривів та потрапляння стоків у річку.
Ремонт – плановий, спеціалізоване комунальне підприємство готувалося до нього відповідно до всіх процедурних вимог і зараз все готове до початку робіт.
Сьогодні, 9 серпня, міськвиконком прийняв рішення перекрити рух автотранспорту на вулиці Олега Міхнюка в районі школи №2.
Вулицю Міхнюка буде перекрито з 10 серпня до 31 жовтня 2018 року включно.
Для чого
З 10 серпня до 31 жовтня 2018 року планується провести реконструкцію каналізаційного дюкеру через річку Стрижень в районі КНС (каналізаційної насосної станції) №1 на вулиці Пушкіна, 1а.
Зазначені роботи є плановими для КП «Чернігівводоканал» і направлені на забезпечення якісними та безперебійними послугами з водовідведення мешканців будинків району вулиці Кільцева, Шевченка, Міхнюка, 1 Травня, включаючи вулиці Доценка, Бєлова, Рокосовського, Всіхсвятську, Захисників України, проспекту Перемоги та ін.
Окрім того реконструкція дюкеру* сприятиме запобіганню екологічній катастрофі, яка може статися внаслідок виходу стічних вод на поверхню землі та їх потрапляння у річку Стрижень.
Що по чім
Кошторисна вартість будівництва становить 14 млн 799 тисяч 286 грн.
Після проведення процедури закупівлі виконавцем робіт було визнано компанію «УТБ-Інжинірінг» (хто б сумнівався).
Вартість робіт за договором складає 12915682 грн.
Технічний бік
Існуючий каналізаційний дюкер із стальних труб 800 мм був побудований у 1972 році та на даний час знаходиться в незадовільному стані.
Проект реконструкції передбачає будівництво нового самопливного каналізаційного дюкеру з поліетиленових труб «ПЕ SDR 17 PN10 протект» (із зовнішнім захисним шаром) діаметром 900 мм загальною довжиною 55 м паралельно існуючому (на відстані 11 метрів від нього) вниз по течії річки Стрижень. Прокладання каналізаційного дюкеру буде виконуватися в дві лінії з відстанню між нитками дюкеру у просвіті 1,5 м.
У зв'язку зі зміною траси каналізаційного дюкеру приєднання його до трас самопливних трубопроводів передбачено шляхом влаштування на них оглядових колодязів.
Також від існуючого оглядового колодязя передбачено заміну існуючого бетонного трубопроводу метрового діаметру на поліетиленовий із труб «Спірокор DN800/888 SN4» зі зміною ухилу укладання трубопроводу у відповідності до існуючого бетонного трубопроводу діаметром 800 мм та заміну бетонних труб існуючого самопливного каналізаційного колектору на поліетиленові труби «Спірокор» діаметром 1200 мм.
У місцях від'єднання, зміни напрямку колектору передбачено влаштування трьох оглядових колодязів, на вході в дюкер та на виході з дюкеру влаштовується вхідна та вихідна камери.
*Дюкер (англ. inverted siphon, tunnel; нім. Düker m, Durchlaß m, Unterführung f) – напірний трубопровід для транспортування рідин або газів, що прокладається при перетині водних перешкод (річок, озер, водоймищ, морських акваторій тощо), під руслом річки, по схилах та дну яру, під залізницею чи дорогою.
За типом водоймища розрізняють дюкери річкові, морські та болотні; за характером транспортного продукту – водопровідні, нафтопровідні, нафтопродуктопровідні і газопровідні; за конструкцією – однотрубні і двотрубні. Окрім того, дюкери різняться за глибиною занурення у воду, внутрішнім тиском, діаметром, видом укладки на дні водоймища, кількістю паралельно прокладених труб, а також характером впливу транспортного продукту на навколишнє середовище.
За матеріалом інформслужби
КП «Чернігівводоканал»
| Версія для друку Відправити по e-mail Обговорити на форумі |
| Переглядів : 4201 |
Посилання до теми:
9.08.2018 Невдовзі ділянка вулиці Молодчого буде відкрита для проїзду
31.07.2018 Чому провалюється каналізація, як на вулиці Молодчого, і що по чім із цим робити
16.07.2018 КП «Чернігівводоканал» закінчило з колектором на вул. Молодчого
4.07.2018 Афальтують вулицю Молодчого
20.06.2018 На перехресті Шевченка-Молодшого труби вже закопані
12.06.2018 Замінюють каналізаційний колектор на перехресті Шевченка - Молодчого
2.08.2018 КП «Чернігівводоканал» показало, які вони – нові люки українського виробника
26.07.2018 В Рівчаку готують основу дороги
9.07.2018 Луснули водогони півметрового діаметру
15.06.2018 «Чернігівводоканал» ще накопав мін
































Додати коментар: